Geodezja Kłębczyk inż. Miłosz Kłębczyk
Mapy zasadnicze
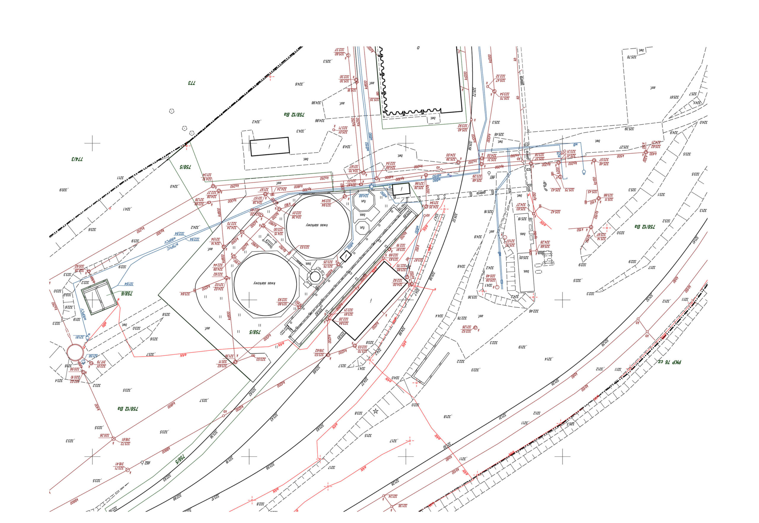
Mapy zasadnicze to długo używane narzędzie wykorzystywane w geodezji i kartografii. Pozwalają one na wykonanie właściwego wymiaru przestrzeni, ustalenie prawidłowych granic nieruchomości oraz określenie właściwych pozycji obiektów na ziemi.
Mapy zasadnicze są najczęściej wykorzystywanym narzędziem wykorzystywanym w geodezji i kartografii. Składają się one z wielu rodzajów danych, w tym informacji o kształcie terenu, położeniu granic i budynków oraz szczegółowych informacji dotyczących topografii. Większość map zasadniczych jest tworzona w skali 1:10 000, co oznacza, że jeden cal mapy odpowiada 10 000 stóp rzeczywistych.
Mapy zasadnicze są szczególnie przydatne do oznaczania położenia i granic nieruchomości, dlatego są one często wykorzystywane przez rzeczoznawców majątkowych, geodetów i innych profesjonalistów zajmujących się nieruchomościami. Pozwalają one określić dokładne położenie nieruchomości, aby upewnić się, że wszystkie granice i wymiary są prawidłowe.
Mapy zasadnicze są również często wykorzystywane do celów topograficznych. Pozwalają one określić wszelkie szczegóły dotyczące terenu, takie jak wzniesienia, doliny i inne elementy geograficzne. Są one często wykorzystywane, aby określić, jakie budynki i urządzenia można postawić na danym terenie, oraz jakie zmiany należy wprowadzić, aby optymalnie wykorzystać przestrzeń.
Map zasadniczych używa się również do określenia pozycji budynków, dróg i innych obiektów na ziemi. Dzięki nim można określić, czy budynek jest na swoim miejscu, czy też należy go przesunąć. Umożliwiają one również zmierzenie odległości między obiektami i określenie właściwego wymiaru przestrzeni.
Mapy zasadnicze są niezbędnym narzędziem w wielu dziedzinach geodezji i kartografii, a także dla inżynierów, architektów i innych specjalistów. Służą one do określenia położenia i granic nieruchomości, określenia właściwego wymiaru przestrzeni oraz dokładnego określenia pozycji obiektów na ziemi.
